写真:Kikuchi青の洞窟は、沖縄県中部の真栄田岬(まえだみさき)にある海のアクティビティスポットです。名前のとおり、洞窟内の神秘的な海の青さは必見です。本記事ではツアー参加時の流れや、青の洞窟近辺のおすすめスポットをご紹介しています。
この記事の目次表示
青の洞窟とは?
沖縄県恩納村の真栄田岬(まえだみさき)にある全長約30メートルの洞窟です。海水の侵食によって形成されました。洞窟内の一部では、水中の岩が削れている部分があり、そこから差し込む太陽光が反射すると、洞窟内の水が青く輝きだします。
ダイビングやシュノーケルなど、たくさんのアクティビティ利用者が訪れる人気のスポットです。個人で訪問も可能ですが、天候によってはガイドが同伴していないと遊泳禁止の日もあるため、ツアーでの参加がおすすめです。
それでは以下よりツアー参加時の流れと留意点をご紹介していきます。
ツアーの流れ
筆者は、シュノーケル専門店の「ネイチャーサービスマハエ」を利用しました。こちらのお店はシュノーケル、ダイビング、SUP等のアクティビティコースが充実しています。
参加したのは「青の洞窟シュノーケリングコース」(税込3,500円/1人)です。1グループ2名より申込可能で、ガイドさんが1人付いてくれます。説明は終始丁寧で、フランクな雰囲気のなか、とても楽しいツアーにして下さいました。
朝一訪問がマスト!
ツアーは1日4回開催で、集合時間が7時、10時、13時、16時(11月~4月の間は、8時、11時、14時の3回)となっています。
事前予約の際に、迷わず7時の回を予約しましょう。それ以降の時間帯は海が大混雑となります。青の洞窟の魅力を目いっぱい堪能するには、人が少ない早朝の時間帯がおすすめです。
説明&着替え
お店に集合した後は、ガイドさんよりツアーの流れの説明を受けて、着替えとなります。ウェットスーツ、ゴーグル等シュノーケルに必要な道具はお店で用意してくれます。
ただし、ウェットスーツの下には水着を着用しますので、水着の持参はお忘れなく。タオルもあらかじめ準備しておきましょう。タオルは万が一忘れてしまった場合、有料で買い取りというシステムになっています。
海の世界を堪能
お店から青の洞窟付近の駐車場へは専用車で送迎して下さいます。約5分程度で到着です。
ちなみにツアー会社によっては直接駐車場集合で、現地の屋外で着替え、ということもあるようです。ただし、青の洞窟の駐車場は日中になるにつれ混雑が本格化し、行列ができるくらいですので、現地集合のツアーに申し込まれる方は、お時間にご注意下さい。
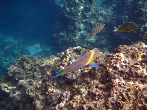
駐車場より海へと向かい、いよいよシュノーケルがスタートです。青の洞窟までは、10分程度泳ぎます。海の中はカラフルなお魚たちの楽園です。
洞窟は30メートルと短いです。一番の見どころは、入ってすぐ左側にあるスペースで、太陽光で照らされた海の色が反射して、美しい青色を演出してくれます。
海の中ではたくさんの生物を見ることが出来ます。魚と人の距離が近く、生き物の世界にお邪魔している気分を味わいます。
海の中を約1時間、思う存分楽しむと地上へ戻る時間となります。ガイドさんへお願いすれば、海のアクティビティならではの記念写真を撮影してくれます。
着替え&最後に
帰りも専用車でお店まで送ってもらいます。シャワールームがありますので、海水を流し、着替えです。7時スタートだと9時半には着替えが済んでいる頃となります。ガイドさんとお別れの挨拶が済めばツアー終了となります。
最後にもう一度繰り返しますが、青の洞窟の神秘的な空間を味わうためには、混雑回避のため、早朝での参加を強くおすすめします。

- SEAJOY(シージョイ)
- 恩納村(国頭郡) / 体験・アクティビティ / SUP体験
- 住所:沖縄県国頭郡恩納村真栄田1554-1F地図で見る
- 電話:0989581289
- Web:https://seajoy.jp/
前泊におすすめの宿「あかちちゲストハウス」
青の洞窟の早朝ツアーに参加するためには、真栄田岬(まえだみさき)近辺での前泊がおすすめです。そこでご紹介したいのが、「あかちちゲストハウス」です。
こちらは、真栄田岬まで徒歩5分という好立地に位置した家族経営のお宿です。先ほどご紹介したネイチャーサービスマハエまでも車で10分弱で到着となります。
2018年8月現在2名1室利用で、夏季料金(5月~10月)は8,500円/1人となっています。それ以外の期間は7,500円/1人です。詳しくはホームページでご確認下さい。
エレガントなお部屋
内装や家具がとてもお洒落で、清潔感のある空間です。暖色系の照明があたたかさを感じさせ、心落ち着く雰囲気となっています。
洗面所も綺麗に管理され、タオルは無料で利用可能です。別荘にしたくなるような、大人な雰囲気で、特に夫婦やカップルでの利用がおすすめです。
沖縄料理たっぷりのお弁当
通常は1泊朝食付きですが、シュノーケルやダイビングで早朝に外出する方に対しては、お弁当を作って下さいます。
筆者も早朝のツアーの旨をお伝えし、お弁当をお願いしました。沖縄料理や南国フルーツ、そして愛情がたっぷり詰まった、手作りでヘルシーな内容でした。

- あかちち ゲストハウス
- 恩納村(国頭郡) / ゲストハウス
- 料金(目安):-円〜13,889円
- 宿泊時間:15:00〜10:00
- 住所:沖縄県国頭郡恩納村真栄田348地図で見る
- Web:http://www.akachichi.com/












































